- Rathaus & Bürgerservice
- Bauen & Wohnen
- Tourismus & Freizeit
- Gemeindewerke
26.02.2026 - Offenlegung des Entwurfs zur 25. Änderung des Flächennutzungsplanes der Gemeinde Wildeck gemäß § 3 (2) BauGB mit zeichnerischer Darstellung, textlichen Festsetzungen und Begründung mit Umweltbericht
Bekanntmachung der Gemeinde Wildeck
Bauleitplanung der Gemeinde Wildeck
Offenlegung des Entwurfs zur 25. Änderung des Flächennutzungsplanes der Gemeinde Wildeck gemäß § 3 (2) BauGB mit zeichnerischer Darstellung, textlichen Festsetzungen und Begründung mit Umweltbericht
Die Gemeindevertretung der Gemeinde Wildeck hat in ihrer Sitzung am 14.11.2024 die Aufstellung des Verfahrens zur 25. Änderung des Flächennutzungsplanes der Gemeinde Wildeck beschlossen.
Die Beteiligung der Bürger gem. § 3 (1) BauGB, der Behörden und sonstigen Träger öffentlicher Belange gem. § 4 (1) BauGB, der Nachbargemeinden gem. § 2 (2) BauGB und der Vereine nach § 63 BNatSchG zur 25. Änderung des Flächennutzungsplanes erfolgte in dem Zeitraum vom 11.11.2025 bis 11.12.2025.
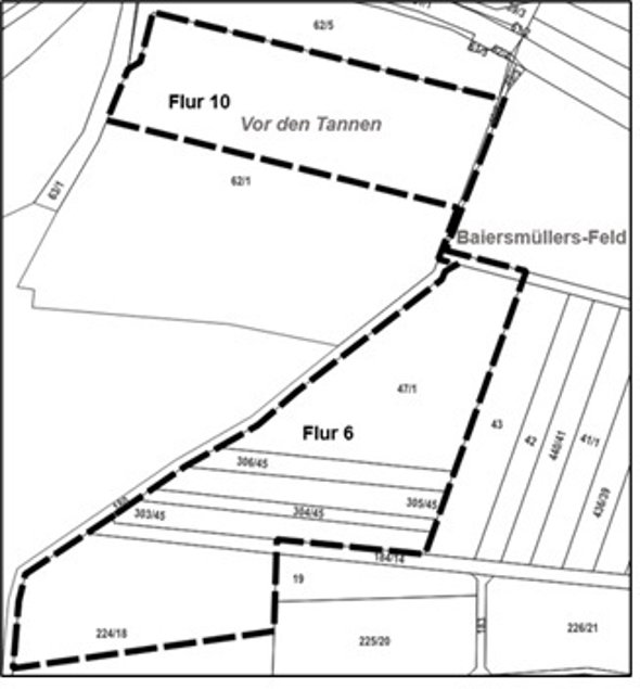
Der Geltungsbereich der PV-Freiflächenanlage wurde reduziert und ein zweiter Geltungsbereich als Ausgleichsfläche hinzugenommen.
Auflistung der Flurstücke:
Geltungsbereich 1: Gemeinde Wildeck, Gemarkung Richelsdorf, Flur 6, Flurstücke 47/1, Teil aus 49/6 und 184/14, 306/45, 305/45, 304/45, 303/45, 224/18 und Flurstück 62/1 aus Flur 10.
Geltungsbereich 2: Gemeinde Wildeck, Gemarkung Richelsdorf, Flur 6, Flurstücke 85 und 86.

Geltungsbereich 1 (Solarpark)

Geltungsbereich 2 (Ausgleichsfläche)
Ziele und Zwecke der Bauleitplanung:
Geplant ist eine PV-Freiflächenanlage mit einer Leistung von etwa 4 Megawatt (MWp) und ein Batteriespeicher. Der Batteriespeicher soll den überschüssigen Solarstrom, der tagsüber erzeugt wird, speichern, um ihn zu einem späteren Zeitpunkt, beispielsweise in der Nacht oder bei einem Stromausfall, wieder zu nutzen. Die vorliegende Planung dient der Umsetzung der Ziele des geänderten Hessischen Energiegesetzes und einer nachhaltigen städtebaulichen Entwicklung im Sinne von § 1 Abs. 5 BauGB sowie § 1 Abs. 6 Nummer 7 Buchstabe f) BauGB zur Förderung der Klimaschutzziele und der Energieversorgung mit erneuerbaren Energien.
Die Gemeindevertretung der Gemeinde Wildeck hat in ihrer Sitzung am 29.01.2026 den Entwurf der 25. Änderung des Flächennutzungsplanes der Gemeinde Wildeck beschlossen.
Der Entwurf der 25. Änderung des Flächennutzungsplans der Gemeinde Wildeck mit zeichnerischer Darstellung, textlichen Festsetzungen, Begründung mit Umweltbericht ist gemäß § 3 (2) BauGB ist in der Zeit vom 02.03.2026 bis einschließlich 02.04.2026
über die Internetseite der Gemeinde Wildeck https://www.wildeck.de/bauen-wohnen/bauleitplanung/flaechennutzungsplan-im-verfahren/ sowie auf dem Bauleitplan-ungsportal des Landes Hessen unter https://bauleitplanung.hessen.de/bebauungsplaene-in-hessen-a-z/v-z einseh- und abrufbar.
Zusätzlich liegen die genannten Unterlagen während der Dienststunden der Gemeindeverwaltung Wildeck, Eisenacher Straße 98, 36208 Wildeck von Mo.- Fr. 8:00 Uhr bis 12:00 Uhr sowie Mo. von 13:30 Uhr bis 16:00 Uhr und Do. von 13:30 Uhr bis 18:00 Uhr zu jedermanns Einsicht öffentlich aus.
Folgende umweltrelevante Information liegen vor:
- Umweltbericht mit Artenschutzbeitrag und Bewertung der Umweltauswirkungen,
- RP Kassel – Dezernat 31.2, Bodenschutz: Forderung nach einer bodenfunktionalen Kompensationsbetrachtung und Bodenschutzkonzept,
- RP Kassel - Dezernat Forsten, Jagd: Hinweis zur unmittelbaren Nähe zum Wald wegen Versicherungspflicht und Schadensersatzleistungen,
- Kreis Hersfeld-Rotenburg – Sachgebiet Naturschutz: Hinweise zum Artenschutz, Landschaftsbild, vorhandenen Gehölzen sowie Pflege der Flächen und Kompensationsmaßahmen,
- Kreis Hersfeld-Rotenburg – Sachgebiet Wasser- und Bodenschutz: Bedenken wegen verzinkten Gründungselementen und Hinweis auf Prüfpflicht bei wassergefährdenden Stoffen.
Während der Auslegungsfrist können Stellungnahmen bei der Gemeinde Wildeck elektronisch über die E-Mail-Adresse bauamt@wildeck.de , schriftlich oder zur Niederschrift beim Bauamt der Gemeinde oder gemäß § 4b BauGB dem für die Planung verantwortlichen Büro elektronisch unter heinrichwacker57@aol.com vorgebracht werden.
Es wird darauf hingewiesen, dass nicht fristgerecht abgegebene Stellungnahmen möglicherweise nicht berücksichtigt werden.
Datenschutz:
Die Verarbeitung personenbezogener Daten erfolgt auf der Grundlage der Art. 6 Abs. 1c und 1e der Datenschutz-Grundverordnung (DSGVO). Sofern Sie Ihre Stellungnahme ohne Absenderangaben abgeben, erhalten Sie keine Mitteilung über das Ergebnis der Prüfung. Weitere Informationen sind im Internet auf der Homepage der Gemeinde Wildeck unter https://www.wildeck.de/datenschutzerklaerung-datenschutz/ abrufbar.
Ein Antrag nach § 47 der Verwaltungsgerichtsordnung ist unzulässig, soweit mit ihm Einwendungen geltend gemacht werden, die vom Antragsteller im Rahmen der Auslegung nicht oder verspätet geltend gemacht wurden, aber hätten geltend gemacht werden können.
Hinweis nach § 3 Absatz 3 BauGB:
Eine Vereinigung im Sinne des § 4 Absatz 3 Satz 1 Nummer 2 des Umwelt-Rechtsbehelfsgesetzes in einem Rechtsbehelfsverfahren nach § 7 Absatz 2 des Umwelt-Rechtsbehelfsgesetzes gemäß § 7 Absatz 3 Satz 1 des Umwelt-Rechtsbehelfsgesetzes mit allen Einwendungen ist ausgeschlossen, wenn sie im Rahmen der Veröffentlichungsfrist nicht oder nicht rechtzeitig geltend gemacht wurde, aber hätte geltend gemacht werden können.
Diese öffentliche Bekanntmachung ergeht aufgrund § 6 der Hauptsatzung der Gemeinde Wildeck in Verbindung mit § 3 (2) BauGB.
Parallel wird das Verfahren zum vorhabenbezogenen Bebauungsplan Nr. IV/10 „Solarpark Vor den Tannen“ durchgeführt.
Wildeck, 26.02.2026
Alexander Wirth
- Bürgermeister -
