- Rathaus & Bürgerservice
- Bauen & Wohnen
- Tourismus & Freizeit
- Gemeindewerke
10.11.2025 - Bauleitplanung der Gemeinde Wildeck; 1.) Bekanntgabe der Aufstellung des vorhabenbezogenen Bebauungsplan Nr. IV/10 „ Solarpark Vor den Tannen“ in der Gemarkung Richelsdorf und 2.) Beteiligung der Öffentlichkeit nach § 3 (1) BauGB, Darlegung der allgemeinen Ziele und Zwecke der Planung
Bekanntmachung der Gemeinde Wildeck
Bauleitplanung der Gemeinde Wildeck;
1.) Bekanntgabe der Aufstellung des vorhabenbezogenen Bebauungsplan Nr. IV/10 „ Solarpark Vor den Tannen“ in der Gemarkung Richelsdorf und
2.) Beteiligung der Öffentlichkeit nach § 3 (1) BauGB, Darlegung der allgemeinen Ziele und Zwecke der Planung
1.) Die Gemeindevertretung der Gemeinde Wildeck hat in ihrer Sitzung am 14.11.2024 die Aufstellung des vorhabenbezogenen Bebauungsplan Nr. IV/10 „ Solarpark Vor den Tannen“ in der Gemarkung Richelsdorf beschlossen.
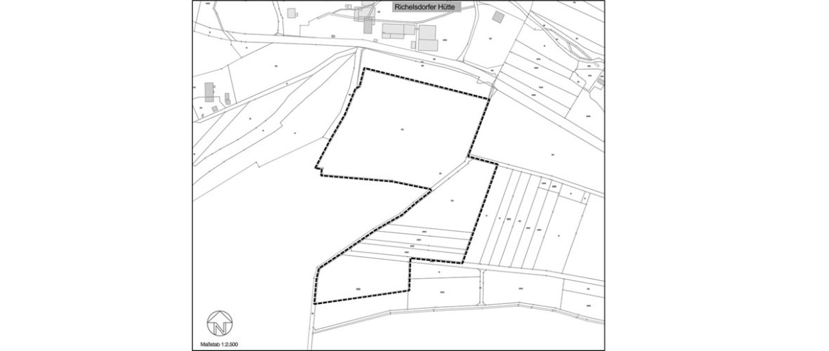
Der Geltungsbereich für den vorhabenbezogenen Bebauungsplan Nr. IV/10 „ Solarpark Vor den Tannen“ in der Gemarkung Richelsdorf“ umfasst folgende Grundstücke: Gemeinde Wildeck, Gemarkung Richelsdorf, Flur 6, Flurstücke 47/1, Teil aus 180/0 und 184/14, 306/45, 305/45, 304/45, 303/45, Teil aus 224/18 und Flur 10, Flurstück 62/1.

Räumlicher Geltungsbereich des Solarparks
2.) Ziele und Zwecke der Bauleitplanung:
Geplant ist eine PV-Freiflächenanlage mit einer Leistung von etwa 4 Megawatt (MWp) und ein Batteriespeicher. Der Batteriespeicher soll den überschüssigen Solarstrom, der tagsüber erzeugt wird, speichern, um ihn zu einem späteren Zeitpunkt, beispielsweise in der Nacht oder bei einem Stromausfall, wieder zu nutzen
Der Vorentwurf des vorhabenbezogenen Bebauungsplan Nr. IV/10 „ Solarpark Vor den Tannen“ in der Gemarkung Richelsdorf“ wird mit Planzeichnungen, textlichen Festsetzungen sowie Begründung mit Umweltbericht gemäß § 3 (1) BauGB ist in der Zeit vom 11.11.2025 bis einschließlich 11.12.2025 über die Internetseite der Gemeinde Wildeck https://www.wildeck.de/bauen-wohnen/bauleitplanung/bebauungsplan-im-verfahren/ sowie auf dem Bauleitplanungsportal des Landes Hessen unter https://bauleitplanung.hessen.de/bebauungsplaene-in-hessen-a-z/v-z bereitgestellt.
Zusätzlich liegen die genannten Unterlagen während der Dienststunden der Gemeindeverwaltung Wildeck, Eisenacher Straße 98, 36208 Wildeck von Mo.- Fr. 8:00 Uhr bis 12:00 Uhr sowie Mo. von 13:30 Uhr bis 16:00 Uhr und Do. von 13:30 Uhr bis 18:00 Uhr zu jedermanns Einsicht öffentlich aus.
Während der Auslegungsfrist können Stellungnahmen bei der Gemeinde Wildeck elektronisch über die E-Mail-Adresse bauamt@wildeck.de , schriftlich oder zur Niederschrift beim Bauamt der Gemeinde vorgebracht werden.
Es wird darauf hingewiesen, dass nicht fristgerecht abgegebene Stellungnahmen gemäß § 4a Abs.6 BauGB unberücksichtigt bleiben können.
Die Verarbeitung personenbezogener Daten erfolgt auf der Grundlage der Artikel 6 Absatz 1 Buchstabe e der Datenschutzgrundverordnung (DSGVO) in Verbindung mit § 3 BauGB und dem Landesdatenschutzgesetz.
Mit der Abgabe einer Stellungnahme erklärt sich die abgebende Person mit dieser Verarbeitung einverstanden. Sie willigt ein, dass die Gemeinde Wildeck personenbezogene Daten einem von der Gemeinde beauftragten Dritten (Planungsbüro) zum durchgeführten Verfahren zukommen lässt. Sofern Sie Ihre Stellungnahme ohne Absenderangaben abgeben, erhalten Sie keine Mitteilung über das Ergebnis der Prüfung.
Gemäß § 17 DSGVO kann sie jederzeit gegenüber die Gemeinde Wildeck oder dem von der Gemeinde eingeschalteten Dritten die Berichtigung, Löschung und Sperrung einzelner personenbezogener Daten verlangen. Weitere Informationen entnehmen Sie bitte dem Formblatt „Information gemäß Art. 13/ Art. 14 DSGVO im Zusammenhang mit dem Bauleitplanverfahren“, dass Sie unter der Internetadresse https://www.wildeck.de/datenschutzerklaerung-datenschutz/informationen-gemaess-art-13-der-eu-datenschutz-grundverordnung-dsgvo/art.-13-information-bauleitplanung.pdf einsehen können und das mit ausliegt.
Ein Antrag nach § 47 der Verwaltungsgerichtsordnung ist unzulässig, soweit mit ihm Einwendungen geltend gemacht werden, die vom Antragsteller im Rahmen der Auslegung nicht oder verspätet geltend gemacht wurden, aber hätten geltend gemacht werden können.
Diese öffentliche Bekanntmachung ergeht aufgrund § 6 der Hauptsatzung der Gemeinde Wildeck in Verbindung mit § 3 (1) BauGB.
Parallel wird ein Änderungsverfahren zum Flächennutzungsplanes für diesen Bereich durchgeführt.
Wildeck, 10.11.2025
Alexander Wirth
Bürgermeister
